• 阅读2996
  • 回复11

[六安事儿] 六安首条人行天桥即将诞生!

 火.. [复制链接]
发表于 2016-1-21 14:30 | 显示全部楼层 |阅读模式
         QQ截图20160121143000.png
       QQ截图20160121143009.png

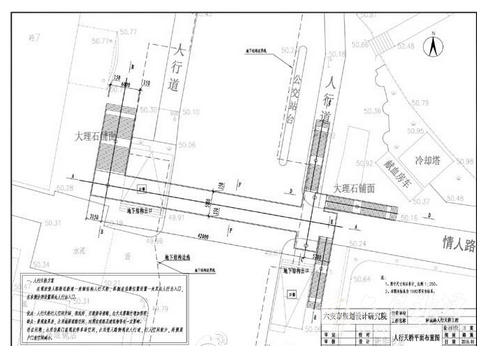
       据了解,我市首条人行天桥即将诞生,桥位位于解放路地下商业街中心位置,介于百货大楼、金安商城、白云商厦之间,是该区段人流最密集位置,选址有利于人流快速过街。天桥工期约3个月,总造价345万元 。小编说“终于等到你“
新建解放路人行天桥方案

平面布置


桥位平面位于情人路与解放路交叉口,天桥主桥呈一字型平面布置,主桥跨径为42m,桥面宽度5.3m,其轴线基本位于情人路延长线上。

整个天桥共设置4条梯道,解放路东侧3条,分别为沿解放路往北在九墩塘公交站台处落地、沿情人路往东、沿解放路往南在新华书店门口位置落地,东侧3条梯道展开长度为14.65m,桥面宽度为2.8m;解放路西侧设置1条梯道,在伯爵商务酒店门口落地,西侧地坪标高较高,梯道展开长度为13.75m,桥面宽度6.3m。

桥位位于整个解放路地下商业街中心位置,介于百货大楼、金安商城、白云商厦之间,是该区段人流最密集位置,选址该处有利于人流快速过街。但桥位西侧梯道位于伯爵商务酒店门口对其有一定影响,东侧新华书店门口匝道将压缩人行道至3m。


桥梁结构形式

天桥主梁采用鱼腹式箱形断面,主梁梁高1.6m高,高跨比为1/26.25,主桥人行道净宽5m。梯道采用焊接钢板梁,梁高0.5m,梯道踏步高、宽分别为0.15m、0.3m,东侧3个梯道净宽2.5m,西侧梯道净宽6m。

桥梁下部结构采用钢立柱,钻孔灌注桩基础,梯道桥台采用明挖扩大基础。主梁、梯道梁、立柱钢管采用Q345qD钢,桩基及梯道桥台采用C30砼。

天桥主梁、梯道及立柱外立面均外包4mm铝塑板装修,人行道铺装采用钢筋混凝土+防水层+人行道砖形式,栏杆采用装饰钢结构栏杆。


施工方案及工期

天桥位于商业中心区域,天桥施工尽可能减少现场施工工作量及现场工期。桥梁施工采用上、下部平行作业,能有效控制工期,确保工程快速有序地进行。桥梁上部结构采用工厂加工,现场焊接拼装。下部结构钻孔桩及梯道桥台现场施工,桥墩立柱盖梁工厂加工,现场连接。天桥总施工工期约3个月。


桥梁造价

主桥造价约240万,梯道造价约105万,总造价345万元。

来源:六安规划局



六安论坛
发表于 2016-1-21 14:41 | 显示全部楼层
看着好高大上啊
六安论坛
回复 鲜花 臭蛋

使用道具 举报

发表于 2016-1-21 14:48 来自手机 | 显示全部楼层
我靠  六安也要有天桥啦
六安论坛
回复 鲜花 臭蛋

使用道具 举报

发表于 2016-1-21 15:20 | 显示全部楼层
感觉好高大上啊
六安论坛
回复 鲜花 臭蛋

使用道具 举报

发表于 2016-1-21 15:22 | 显示全部楼层
六安早就该建人行天桥了。
六安论坛
回复 鲜花 臭蛋

使用道具 举报

发表于 2016-1-21 19:08 来自手机 | 显示全部楼层
不是有地下通道嘛!
六安论坛
回复 鲜花 臭蛋

使用道具 举报

发表于 2016-1-21 23:03 来自手机 | 显示全部楼层
哎!
六安论坛
回复 鲜花 臭蛋

使用道具 举报

发表于 2016-1-22 00:54 来自手机 | 显示全部楼层
又要封路咯
六安论坛
回复 鲜花 臭蛋

使用道具 举报

发表于 2016-1-22 01:09 来自手机 | 显示全部楼层
别骗我!
六安论坛
回复 鲜花 臭蛋

使用道具 举报

发表于 2016-1-22 08:04 | 显示全部楼层
终于肯搞了!
六安论坛
回复 鲜花 臭蛋

使用道具 举报

您需要登录后才可以回帖 登录 | 立即注册

本版积分规则

侵权举报:本页面所涉内容为用户发表并上传,相应的法律责任由用户自行承担;本网站仅提供存储服务;如存在侵权问题,请权利人与本网站联系删除!举报微信号:点击查看