登录
/
注册
全站首页
社区论坛
求职招聘
设为首页
客户端
扫码下载客户端
官方微信
打开微信扫一扫
广告联系
登录
|
注册
搜索
搜索
本版
帖子
用户
用户名
Email
自动登录
找回密码
密码
登录
立即注册
全站首页
社区论坛
求职招聘
签到排行
用户排行
帖子
好友
道具
收藏
勋章
任务
淘帖
动态
日志
相册
分享
记录
留言板
广播
群组
门户
导读
排行榜
设置
我的收藏
退出
门户
房产
装修
汽车
婚嫁
资讯
活动
招聘
相亲
信息
租房
二手房
跳蚤
宠物
招聘
二手车
亲子
手机
社区
茶座
我要买房
找设计
装修家居
交友
职场
生活
网购
情感
皋城车友
找美食
谈婚论嫁
求医
兴趣
验房
走近
六安论坛
»
社区论坛
›
兴趣爱好
›
垂钓乐园
›
【原创】5.15 最新战报:2.5小时试钓新塘——创造的结果 ...
1
2
3
/ 3 页
下一页
返回列表
发新帖
回复
阅读
4711
回复
33
[鱼获战报]
【原创】5.15 最新战报:2.5小时试钓新塘——创造的结果!——有图有真相!
火...
[复制链接]
lovegua
lovegua
当前离线
积分
241
IP卡
狗仔卡
发表于 2014-5-17 16:44
|
显示全部楼层
|
阅读模式
上午忙的郁闷,没得空,只好下午吃过饭,钻个空子,出发了!!
在路上的时候看了下时间,都已经快三点了!
估计今天钓不了了,索性按照之前的计划,奔着昨晚查阅的地图,去踩踩点,有好地方,就试钓试钓。
跑了两三个地点,都有人在坐钓,但是鱼都很小,小鲫鱼,而且都是传统钓法,周围有水草。
再看看天,小太阳晒得后背直冒汗,就犹豫了。
驱车赶往另一处(听当地老百姓说的,很多年没有干涸的活水小库)
赶到目的地,已经快四点了。
看了下周边位置和环境,有传统钓 的痕迹,有当地钓友钓过的钓位。
水面有鱼跳跃。水面的鱼泡泡还是很多的。
再看看时间,还能钓两个小时吧。
不再犹豫,选择了一个大树的边上,遮挡较强的太阳光,
开始
做准备工作,没打算钓的怎么样,没打底窝,直接开饵,拉饵作钓。
知道大家都渴望看到PP!
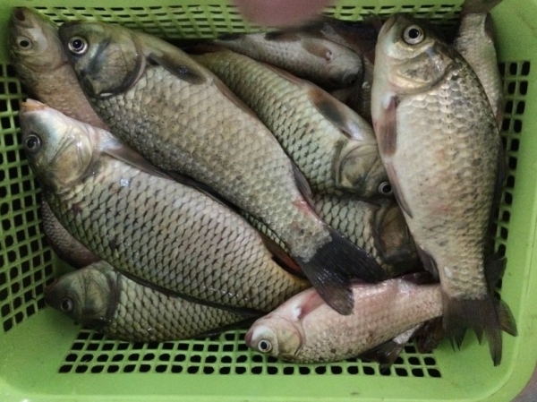
所以,我也不吝啬,溜鱼也不忘 拍照!!够仗义了啊!!!
更多图片
小图
大图
组图打开中,请稍候......
评分
参与人数
2
银币
+18
贡献值
+2
收起
理由
沉底小鱼
+ 8
+ 2
赞一个!
子轩呢
+ 10
感谢楼主报道!
查看全部评分
六安论坛
回复
使用道具
举报
提升卡
置顶卡
沉默卡
喧嚣卡
变色卡
千斤顶
显身卡
awei5588
awei5588
当前离线
积分
153
IP卡
狗仔卡
发表于 2014-5-17 19:16
|
显示全部楼层
不错啊,用上谷歌来找塘,够先进
六安论坛
回复
鲜花
臭蛋
使用道具
举报
显身卡
野战排
野战排
当前离线
积分
2122
IP卡
狗仔卡
发表于 2014-5-17 20:34
|
显示全部楼层
楼主辛苦了!
六安论坛
回复
鲜花
臭蛋
使用道具
举报
显身卡
三月三
三月三
当前离线
积分
8075
IP卡
狗仔卡
发表于 2014-5-17 21:16
|
显示全部楼层
收获不错啊!斤把的鲤鱼糖醋好吃啊
六安论坛
回复
鲜花
臭蛋
使用道具
举报
显身卡
俗缘
俗缘
当前离线
积分
473
IP卡
狗仔卡
发表于 2014-5-17 22:43
|
显示全部楼层
渔获真不耐,全是野的,恭喜楼主。
六安论坛
回复
鲜花
臭蛋
使用道具
举报
显身卡
银鱼
银鱼
当前离线
积分
1987
IP卡
狗仔卡
发表于 2014-5-18 15:30
|
显示全部楼层
这鱼获太棒了,恭喜楼主过瘾了{:soso_e179:}
六安论坛
回复
鲜花
臭蛋
使用道具
举报
显身卡
闲时钓钓鱼
闲时钓钓鱼
当前离线
积分
44
IP卡
狗仔卡
发表于 2014-5-18 17:23
来自手机
|
显示全部楼层
精神值得学习!严重羡慕中
六安论坛
回复
鲜花
臭蛋
使用道具
举报
显身卡
三月三
三月三
当前离线
积分
8075
IP卡
狗仔卡
发表于 2014-5-19 07:40
|
显示全部楼层
好贴!边钓边照、分享快乐!{:1039:}
六安论坛
回复
鲜花
臭蛋
使用道具
举报
显身卡
涻#梨
涻#梨
当前离线
积分
15
IP卡
狗仔卡
发表于 2014-5-19 16:07
|
显示全部楼层
希望都像楼主一样,积极分享钓点,共同坐钓,还有共同组织电打鱼
补充内容 (2014-5-20 21:53):
不是组织,是阻止,慌忙打错了
六安论坛
回复
鲜花
臭蛋
使用道具
举报
显身卡
王休闲
王休闲
当前离线
积分
288
IP卡
狗仔卡
发表于 2014-5-19 18:17
|
显示全部楼层
可是陈勇?
六安论坛
回复
鲜花
臭蛋
使用道具
举报
显身卡
下一页 »
1
2
3
/ 3 页
下一页
返回列表
发新帖
回复
登录
|
注册
高级模式
B
Color
Image
Link
Quote
Code
Smilies
您需要登录后才可以回帖
登录
|
立即注册
本版积分规则
发表回复
回帖并转播
回帖后跳转到最后一页
浏览过的版块
会员贴图
侵权举报:本页面所涉内容为用户发表并上传,相应的法律责任由用户自行承担;本网站仅提供存储服务;如存在侵权问题,请权利人与本网站联系删除!举报微信号:
点击查看