登录
/
注册
全站首页
社区论坛
求职招聘
设为首页
客户端
扫码下载客户端
官方微信
打开微信扫一扫
广告联系
登录
|
注册
搜索
搜索
本版
帖子
用户
用户名
Email
自动登录
找回密码
密码
登录
立即注册
全站首页
社区论坛
求职招聘
签到排行
用户排行
帖子
好友
道具
收藏
勋章
任务
淘帖
动态
日志
相册
分享
记录
留言板
广播
群组
门户
导读
排行榜
设置
我的收藏
退出
门户
房产
装修
汽车
婚嫁
资讯
活动
招聘
相亲
信息
租房
二手房
跳蚤
宠物
招聘
二手车
亲子
手机
社区
茶座
我要买房
找设计
装修家居
交友
职场
生活
网购
情感
皋城车友
找美食
谈婚论嫁
求医
兴趣
验房
走近
六安论坛
»
社区论坛
›
兴趣爱好
›
垂钓乐园
›
花果水库过把瘾
1
2
/ 2 页
下一页
返回列表
发新帖
回复
阅读
5257
回复
10
花果水库过把瘾
火
[复制链接]
霸王鲤
霸王鲤
当前离线
积分
338
IP卡
狗仔卡
发表于 2015-5-4 20:36
来自手机
|
显示全部楼层
|
阅读模式
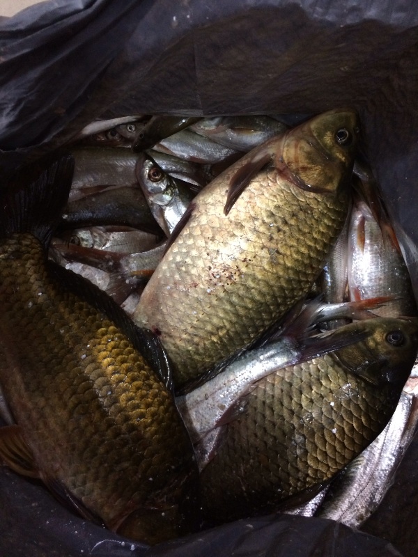
昨晚与几位钓友约好今日花果水库一战,把客人都送走自己开始绑线组,忙到快12点回家,辗转反侧也无法入眠,终于熬到三点,再也按耐不住,起床拿装备,出发!
一天收获还较为可观!7.2米拉饵一天收获43斤,以红尾黄尾为主!几条大鲫鱼!
更多图片
小图
大图
433142
433143
433144
433145
组图打开中,请稍候......
评分
参与人数
1
银币
+8
贡献值
+2
收起
理由
沉底小鱼
+ 8
+ 2
7.2的拉,这也太辛苦了。。。
查看全部评分
六安论坛
回复
使用道具
举报
提升卡
置顶卡
沉默卡
喧嚣卡
变色卡
千斤顶
显身卡
AreYouTheOne
AreYouTheOne
当前离线
积分
1910
IP卡
狗仔卡
发表于 2015-5-5 08:24
|
显示全部楼层
看着过瘾!
六安论坛
回复
鲜花
臭蛋
使用道具
举报
显身卡
070176
070176
当前离线
积分
38
IP卡
狗仔卡
发表于 2015-5-5 11:55
|
显示全部楼层
{:1029:}{:1029:}{:1029:}{:1029:}{:1029:}{:1029:}
六安论坛
回复
鲜花
臭蛋
使用道具
举报
显身卡
银鱼
银鱼
当前离线
积分
1987
IP卡
狗仔卡
发表于 2015-5-5 12:28
|
显示全部楼层
好鱼获,拉一天,累坏了吧,{:soso_e179:}{:soso_e179:}
六安论坛
回复
鲜花
臭蛋
使用道具
举报
显身卡
地下党
地下党
当前离线
积分
2583
IP卡
狗仔卡
发表于 2015-5-5 22:32
|
显示全部楼层
过瘾,四哥{:1030:}{:1030:}{:1030:}
六安论坛
回复
鲜花
臭蛋
使用道具
举报
显身卡
三月三
三月三
当前离线
积分
8075
IP卡
狗仔卡
发表于 2015-5-6 08:20
|
显示全部楼层
收获刚刚的啊!{:1025:}
六安论坛
回复
鲜花
臭蛋
使用道具
举报
显身卡
潇洒╲_/↘
潇洒╲_/↘
当前离线
积分
1278
IP卡
狗仔卡
发表于 2015-5-7 15:32
|
显示全部楼层
牛牛 {:1025:}
六安论坛
回复
鲜花
臭蛋
使用道具
举报
显身卡
lalxm
lalxm
当前离线
积分
23
IP卡
狗仔卡
发表于 2015-5-9 18:36
|
显示全部楼层
去年去了N次!不错。
六安论坛
回复
鲜花
臭蛋
使用道具
举报
显身卡
屎八肚混子
屎八肚混子
当前离线
积分
92
IP卡
狗仔卡
发表于 2015-5-14 21:29
|
显示全部楼层
花果水库在哪?收费多少?麻烦告下,谢谢。
六安论坛
回复
鲜花
臭蛋
使用道具
举报
显身卡
宾客
宾客
当前离线
积分
3
IP卡
狗仔卡
发表于 2015-5-22 17:55
|
显示全部楼层
现在不给钓了吧
六安论坛
回复
鲜花
臭蛋
使用道具
举报
显身卡
下一页 »
1
2
/ 2 页
下一页
返回列表
发新帖
回复
登录
|
注册
高级模式
B
Color
Image
Link
Quote
Code
Smilies
您需要登录后才可以回帖
登录
|
立即注册
本版积分规则
发表回复
回帖并转播
回帖后跳转到最后一页
浏览过的版块
会员贴图
皋城车市
侵权举报:本页面所涉内容为用户发表并上传,相应的法律责任由用户自行承担;本网站仅提供存储服务;如存在侵权问题,请权利人与本网站联系删除!举报微信号:
点击查看